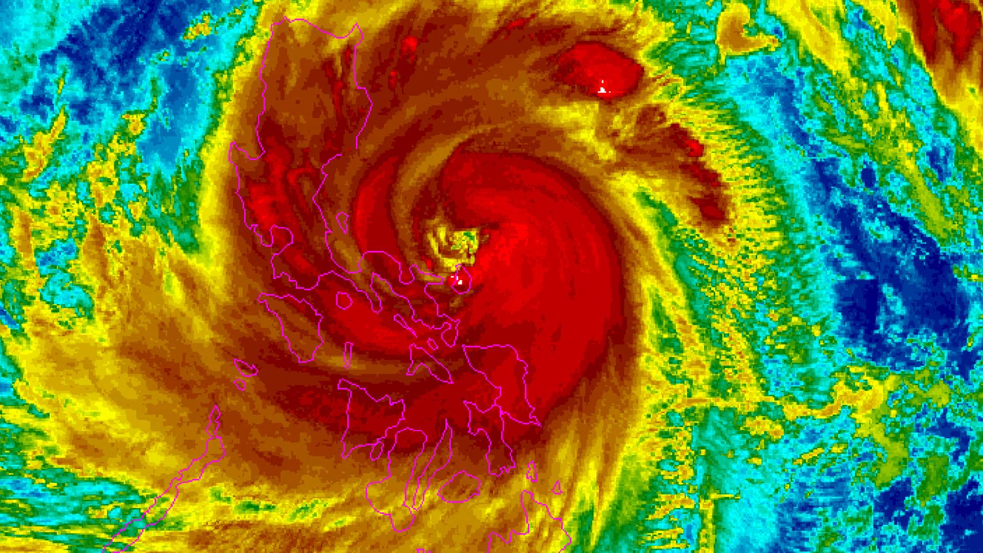
HIMAWARI satellite imagery of super typhoon Fung-wong as it approaches the Philippines. (November 9, 2025)
Winds, rain lash Philippines as super typhoon nears
Note: AI technology was used to generate this article’s audio.
- Super Typhoon Fung-wong reached maximum intensity ahead of its expected landfall in the Philippines, bringing intense rain and storm surges to areas like Catanduanes.
- The approaching storm forced the suspension of search and rescue operations for the missing from Typhoon Kalmaegi, which had killed at least 204 people just days earlier.
Typhoon Fung-wong, a storm with a radius spanning nearly the entirety of the Philippines, reached super typhoon status on Sunday ahead of an expected late-night landfall.
Catanduanes, a small island the state weather service said could take a "direct hit", was already being lashed by wind and rain in the early morning, with storm surges sending waves hurtling over streets along the coast.
The typhoon, which comes just days after another ravaged the country, was working its way westward with winds of 185 kilometres (115 miles) per hour near the centre and gusts of up to 230 kph, the state weather service said.
"The waves started roaring around 7 am (2300 GMT Saturday). When the waves hit the seawall, it felt like the ground was shaking," Edson Casarino, 33, a resident of Catanduanes' Virac town told AFP.
"Heavy rain is pouring now, and I can hear the wind whistling."
On Saturday, some residents of the island were tying down their houses and putting weights on their roofs.
"They decided to do our tradition of strapping down the roofs with big ropes and anchoring them on the ground, so they won't be blown away by the wind," provincial rescue official Roberto Monterola told AFP.
In Sorsogon, a city in southern Luzon, the Philippines' largest island, some sought refuge in a church.
"I'm here because the waves near my house are now huge. I live near the shore, and the winds there are now very strong," Maxine Dugan told AFP on Saturday evening.
In coastal Aurora province, where Fung-wong is expected to make landfall by late Sunday or early Monday morning, rescuers were going door to door encouraging residents to head for higher ground.
Typhoon Fung-wong is expected to bring about 200 millimetres (eight inches) or more rain, which can cause widespread flooding, government meteorologist Benison Estareja told reporters Saturday.
"It's also possible that our major river basins will overflow."
Scientists warn that storms are becoming more powerful due to human-driven climate change. Warmer oceans allow typhoons to strengthen rapidly, and a warmer atmosphere holds more moisture, meaning heavier rainfall.
Two typhoons within days
Only days earlier, Typhoon Kalmaegi sent floodwaters rushing through the towns and cities of Cebu province, sweeping away cars, riverside shanties and massive shipping containers.
The typhoon, the deadliest of 2025 according to disaster database EM-DAT, killed at least 204 people and left 109 missing, according to the latest government figures.
At least five more people were killed as it churned across Vietnam on Friday.
On Saturday, rescue official Myrra Daven told AFP the approaching storm had forced the suspension of search and rescue activities in the province, home to nearly 70 percent of Kalmaegi's deaths.
"We were ordered to temporarily stop the search, rescue and retrieval at 3 pm today," she said.
"We cannot risk the safety of our rescuers. We don't want them to be the next casualties."
The government tally of 57 missing in the hard-hit province, meanwhile, would likely rise, Daven said.
"We're expecting this number to increase, because there are still areas we cannot penetrate. Some access routes are still blocked by soil and other things," she said.



